Skip to content Skip to footer

ΑΠΟΤΕΛΕΣΜΑΤΑ ΘΕΡΑΠΕΙΩΝ LASER CANDELA

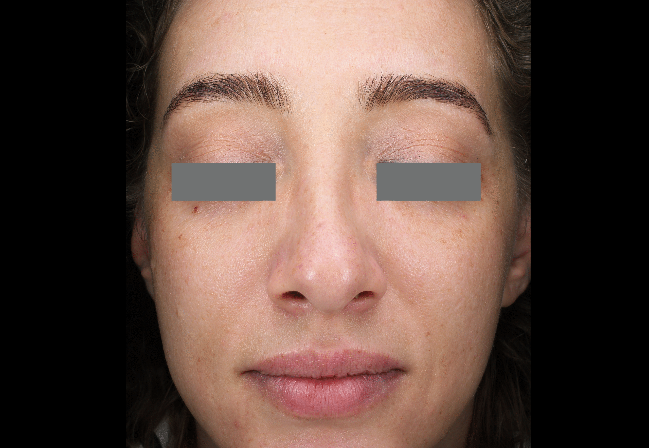
Τα αποτελέσματα των θεραπειών Glacē είναι ορατά ήδη από την πρώτη συνεδρία, χαρίζοντας στην επιδερμίδα άμεση λάμψη, βαθιά ενυδάτωση και βελτιωμένη υφή. Χάρη στη συνδυαστική δράση της διφασικής υδροδερμοαπόξεσης, της διαδερμικής έγχυσης ενεργών συστατικών και της φωτοθεραπείας LED, το δέρμα καθαρίζεται σε βάθος, απολεπίζεται απαλά και αναζωογονείται χωρίς ερεθισμούς ή χρόνο αποθεραπείας.

 

BeforeBeforeAfter
BeforeAfter
BeforeBeforeAfter
BeforeAfter
BeforeBeforeAfter
BeforeAfter
BeforeBeforeAfter
BeforeAfter
BeforeBeforeAfter
BeforeAfter

Οι θεραπείες συμβάλλουν στη μείωση των ατελειών, στη βελτίωση του τόνου και της φωτεινότητας της επιδερμίδας, ενώ παράλληλα ενισχύουν την παραγωγή κολλαγόνου και τη φυσική άμυνα του δέρματος. Το αποτέλεσμα είναι μια πιο λεία, ομοιόμορφη και υγιής όψη, με χαρακτηριστική “glass skin” λάμψη.

Κάθε πρωτόκολλο προσαρμόζεται στις ανάγκες της επιδερμίδας, επιτρέποντας στοχευμένη αντιμετώπιση ζητημάτων όπως θαμπάδα, αφυδάτωση, διευρυμένοι πόροι, ακμή ή σημάδια κόπωσης. Με συστηματικές συνεδρίες, τα αποτελέσματα γίνονται ακόμη πιο εμφανή και μακροχρόνια, ενισχύοντας τη συνολική ποιότητα και νεανικότητα του δέρματος.